Спорт
Интер дал понять Марко Арнаутовичу и Хоакину Корреа, что они могут искать новые клубы
11.05.2025 в 23:40 193 0

Мир
Имя Папы всегда имеет глубокое символическое значение и является указателем его стратегического видения того, как должна действовать церковь
11.05.2025 в 22:32 273 0

Бизнес
НБУ объявил о запуске стимулирующей валютной либерализации
11.05.2025 в 21:40 283 0

Техно
Если тестирование пройдет удачно, то функция появятся уже в следующем обновлении клиента для iOS
11.05.2025 в 18:32 245 0

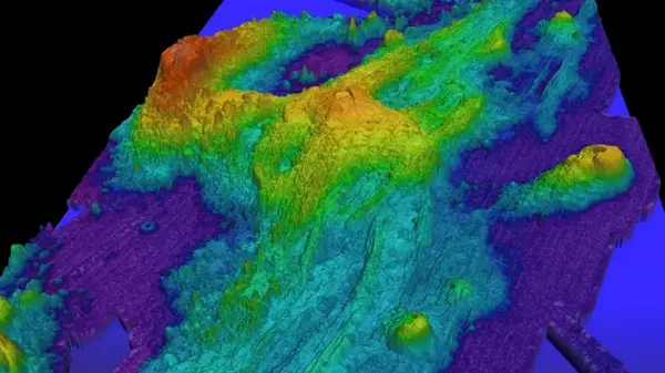
Наука
Подводная гора Аксиал — один из самых активных вулканов на северо-западе Тихого океана
11.05.2025 в 17:32 197 0

Бизнес
За месяц цены на продукты выросли на 1,8%. Больше всего – на 7,9% – подорожали свинина и фрукты
11.05.2025 в 16:17 255 0

Общество
Украина имеет значительный потенциал в добыче титана и строительных камней, что может изменить ситуацию на глобальных рынках
11.05.2025 в 15:40 248 0

Спорт
Джон Фьюри, отец экс-чемпиона мира Тайсона Фьюри, высказал свою точку зрения на бой Усика против Дюбуа
11.05.2025 в 14:32 167 0

LifeStyle
Узнайте, что ждет каждый из знаков зодиака с 12 мая по 18 мая 2025 года
11.05.2025 в 13:14 337 0

Бизнес
Геополитическая ситуация в мире остается напряженной, отметил аналитик
11.05.2025 в 11:12 295 0

Наука
История с бананом, несмотря на кажущуюся простоту, служит суровым напоминанием об опасностях монокультурного земледелия
11.05.2025 в 09:27 166 0

Мир
Британское правительство намерено ужесточить визовые правила для ограничения притока работников, въезжающих в страну легальным путем
11.05.2025 в 07:38 218 0